0% Faizli Fırsat!
Faiz Oranı
%0
Vade
3 Ay
Toplam Tutar
100.000 TL
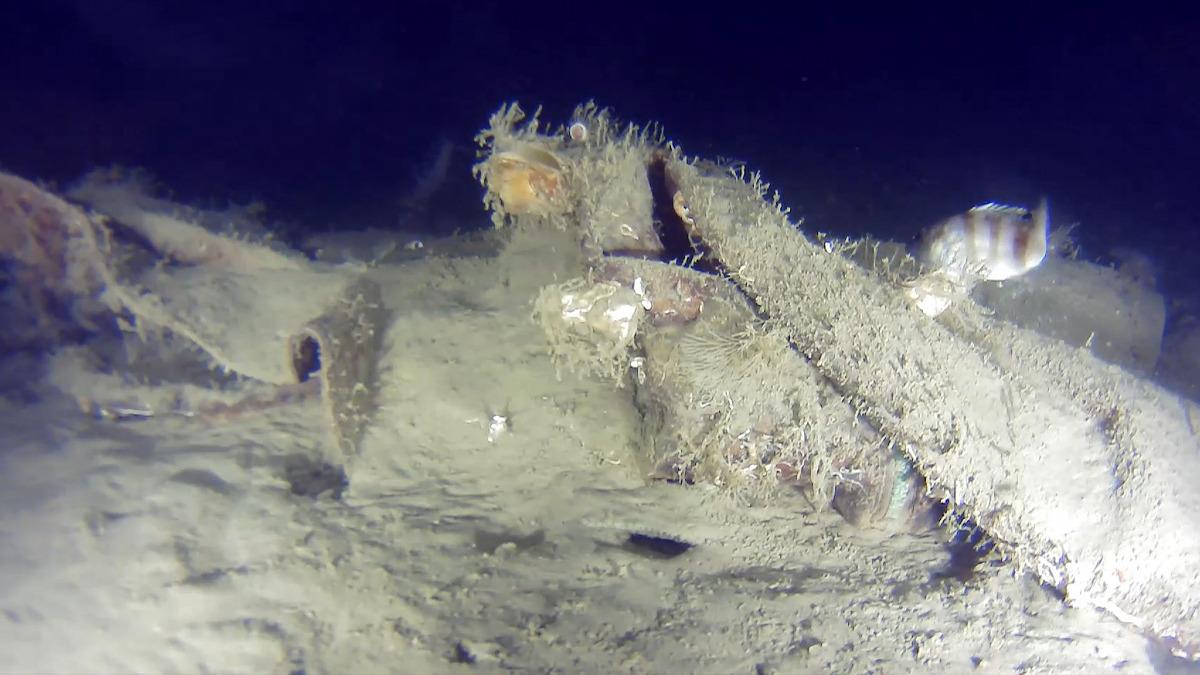
30 Ocak 1975 tarihinde Marmara Denizi'ne düşen ve enkazı yarım asırdır bulunamayan THY ait 'Bursa' isimli Fokker F-28 tipi uçağıyla ilgili önemli bir gelişme yaşandı. 42 kişinin hayatını kaybettiği ve 50 yıldır enkazı bulunamayan Türk Hava Yolları'na (THY) ait 'Bursa' isimli uçağın enkazını bulma çalışmaları devam ediyor.

Sanal medya ünlüsü Nedim Kuru ve ekibi Marmara Denizi Büyükçekmece ve Ambarlı çevresinde yaptığı çalışmalarda su altı dronu ile yaptığı dalışta daha önce uçağın burun kısmına benzeyen bir parça tespit etmişti. Kuru ve ekibinin 4'üncü kez yaptığı arama tarama faaliyetlerinde söz konusu yerde uçağın gövdesine ait olduğu düşünülen yamulmuş halde parçalar tespit etti. Öte yandan Nedim Kuru, Marmara Denizi’nin içine bir anıt mezar yapmak için İstanbul Valiliği'ne başvuruda bulundu.

Kazada hayatını kaybedenler arasında teknik direktör Fatih Terim'in kayınpederi Kamuran Aksu ve şarkıcı Seyyal Taner'in hostes kardeşi gibi isimler de yer alıyordu. Dönemin teknolojik yetersizlikleri nedeniyle enkaz resmi olarak çıkarılamamış, arama çalışmaları sınırlı kalmıştı.

Çalışmalar hakkında bilgi veren Nedim Kuru, "THY'ye ait 'Bursa' isimli 42 yolcusu ile birlikte düşen düşen yolcu uçağına 4'üncü dalış operasyonu gerçekleştirdik. 7 saat boyunca uçağın düştüğü enkaz bölgesinde su altı dronu ile arama yaptık ve uçak enkazına ait diğer parçaları görüntüledik. 4'üncü dalış operasyonuna, daha önce o bölgeden uçağa ait parçaları yanlışlıkla ağına takarak çıkaran balıkçı Serhan abi de bizimle geldi, aynı bölge de biz de uçağa ait olduğunu düşündüğümüz parçalar görüntüledik" dedi.
